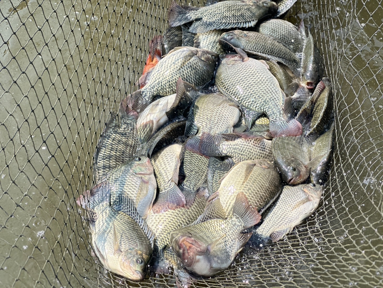
ปลานิลสด
จ.นครราชสีมา
รายละเอียดสินค้า
ชุมชนบ้านวังม่วง นับว่าเป็นแหล่งผลิตปลานิล (เลี้ยงปลานิลในกระชังในบ่อดิน) เป็นอันดับที่ 2 ของจังหวัดนครราชสีมา จากพื้นี่มีความเหมาะสม มีแหล่งน้ำ และดินเค็มในระดับปานกลาง ทำให้ผลผลิตปลาที่ได้จากบ้านวังม่วงมีคุณภาพดี ไม่มีกลิ่นโคลนเป็นที่ต้องการของตลาดและผู้บริโภค และสมาชิกทุกรายได้รับการรับรองมาตรฐานการปฏิบัติทางการเพ าะเลี้ยงสัตว์น้ำที่ดี หรือ GAP
“ปลานิล น้ำกร่อย อร่อยหายห่วง ต้องวังม่วง ของแท้”
มาตรฐานที่ได้รับ
- อื่่น ๆ (7436-900-67-000362)
ติดต่อ พูดคุย กับองค์กรเกษตรกร
ประเภทองค์กรเกษตรกร
กลุ่มส่งเสริมการเกษตรแบบแปลงใหญ่
ชื่อองค์กร
กลุ่มแปลงใหญ่เลี้ยงปลานิลบ้านวังม่วง ตำบลธารปราสาท อำเภอโนนสูง จังหวัดนครราชสีมา
ชื่อ
นายทองอยู่ ไหวพริบ
ที่อยู่
20/3 หมู่ 3 ต.ธารปราสาท อ.โนนสูง จ.นครราชสีมา
เบอร์โทรศัพท์
0833868696
ช่องทางการจัดส่ง
- ไปรษณีย์ไทย

